Су-Фолс (аэропорт)
Региональный аэропо́рт Су-Фолс (англ. Sioux Falls Regional Airport, Joe Foss Field) — гражданский и военный аэропорт, расположенный в 5 км северо-западнее центра города Су-Фолс (Южная Дакота, США). Назван в честь уроженца города, известного лётчика-аса и 20-го губернатора Южной Дакоты Джо Фосса. Аэропорт обслуживает крупнейший город штата и прилегающие районы, являясь важным транспортным узлом региона.
Что важно знать
| Региональный аэропорт Су-Фолс | ||||||||||||||||
|---|---|---|---|---|---|---|---|---|---|---|---|---|---|---|---|---|
| ИАТА: FSD – ИКАО: KFSD – ФАА: FSD | ||||||||||||||||
| Информация | ||||||||||||||||
| Вид аэропорта | гражданский/военный | |||||||||||||||
| Страна | США | |||||||||||||||
| Расположение | Су-Фолс (Южная Дакота) | |||||||||||||||
| Дата открытия | 1937 | |||||||||||||||
| Оператор | Город Су-Фолс | |||||||||||||||
| Высота НУМ | +436 м | |||||||||||||||
| Часовой пояс | UTC−6/−5 | |||||||||||||||
| Сайт | sfairport.com | |||||||||||||||
| Взлётно-посадочные полосы | ||||||||||||||||
|
||||||||||||||||
| Статистика | ||||||||||||||||
| Годовой пассажиропоток | 1 426 211 | |||||||||||||||
История
Аэродром на месте современного аэропорта был построен в 1937 году. В 1942 году город передал его федеральным властям, и он стал базой ВВС США Sioux Falls Army Air Field, где проходила подготовка радистов: за годы Второй мировой войны здесь обучили около 40 000 специалистов. В 1946 году аэропорт вновь перешёл под управление города, а на его территории была сформирована Национальная гвардия ВВС Южной Дакоты под руководством Джо Фосса. Военная часть аэропорта располагается к югу и западу от гражданских объектов и включает всю необходимую инфраструктуру, за исключением жилых домов для семей военнослужащих. Самолёты F-16C/D 114-го истребительного крыла часто видны в небе над Су-Фолс во время тренировок и регулярных полётов.
Первые регулярные авиарейсы были открыты авиакомпанией Mid-Continent Airlines около 1940 года; её правопреемник Braniff покинул аэропорт к 1967 году. В 1950–1960-х годах к обслуживанию аэропорта присоединились Western Airlines, North Central и Ozark. К 1992 году здесь ежедневно выполнялось 28 рейсов восьми авиакомпаний.
В 2005 году аэропорт стал одним из первых в США, где функции досмотра пассажиров и багажа были переданы частной компании в рамках программы TSA Screening Partnership Program. В настоящее время эти функции выполняет Trinity Technology Group.
Инфраструктура аэропорта
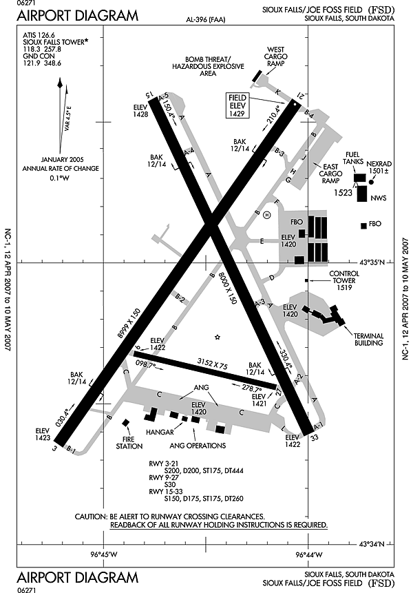
Аэропорт занимает площадь 635 гектаров и располагает тремя бетонными взлётно-посадочными полосами:
- 03/21 — 2 743 м × 46 м
- 15/33 — 2 438 м × 46 м
- 09/27 — 960 м × 23 м
Также имеется одна вертолётная площадка (H1) размером 15×15 м с асфальтовым покрытием.
Пассажирский терминал включает 7 выходов на посадку, все оборудованы телетрапами. Пять гейтов рассчитаны на приём самолётов типа Airbus A320 и Boeing 737, гейт № 5 способен обслуживать Boeing 757, а гейт № 2 — только региональные самолёты типа Bombardier CRJ200 или Embraer ERJ-145. Для обслуживания частной и грузовой авиации имеются пункты таможенного контроля, однако крупные чартерные и регулярные международные рейсы не принимаются.
В 2017 году было выполнено 73 221 взлёт и посадка (38 % — такси, 39 % — общая авиация, 16 % — регулярные авиалинии, 7 % — военные операции). На тот момент в аэропорту базировалось 111 воздушных судов: 49,5 % — одномоторные, 31 % — многомоторные, 16 % — военные, 4 % — реактивные.
Терминал Costello был открыт в 1970 году и неоднократно модернизировался (1990, 2003, 2005 годы). С 2009 года реализуется масштабная программа обновления и расширения, включающая реконструкцию зоны регистрации, перенос досмотрового оборудования TSA за стойки регистрации, обновление магазинов, залов ожидания, ресторанов, установку новых телетрапов и расширение парковочных зон. В 2012 году завершилась очередная фаза модернизации, а в 2014 году началось строительство гостиницы при терминале на 70 номеров, ориентированной на деловых путешественников.
Будущие проекты включают строительство дополнительных перронов, обновление рулёжных дорожек, создание новой диспетчерской вышки, расширение зоны безопасности, внедрение новых навигационных систем, строительство дополнительного багажеотдачи, многоуровневого паркинга и нового конкорса. В ноябре 2022 года объявлено о крупном расширении терминала с добавлением нескольких гейтов и двух новых залов ожидания; начало строительства запланировано на 2025–2026 годы.[1]
Наземный транспорт
До февраля 2025 года аэропорт обслуживался сервисом SAM on Demand компании Sioux Area Metro. С февраля 2025 года запущено регулярное автобусное сообщение, остановка находится у терминала.
Авиакомпании и направления
| Авиакомпания | Пункты назначения |
|---|---|
| Абердин, Фарго, Мобридж, Рапид-Сити, Уотертаун | |
| Акрон/Кантон | |
| Абердин, Фарго, Пьер, Рапид-Сити, Уотертаун, Уиннер | |
| Индианаполис, Мэдисон, Мемфис | |
| Абердин, Пьер, Уотертаун | |
| Рапид-Сити | |
| Сидар-Рапидс/Айова-Сити, Индианаполис | |
| Фарго | |
| Калгари, Чикаго/Рокфорд, Денвер, Де-Мойн, Фарго, Канзас-Сити, Луисвилл, Оклахома-Сити, Онтарио, Сакраменто-Мазер Сезонно: Миннеаполис/Сент-Пол |
Статистика
| Год | Пассажиры |
|---|---|
| 2024 | 1 426 211 |
| Источник: Администрация аэропорта, FAA | |
| № | Аэропорт | Пассажиры | Авиакомпания |
|---|---|---|---|
| 1 | Денвер | 149 030 | Frontier, United |
| 2 | Чикаго (О'Хара) | 131 240 | American, United |
| 3 | Миннеаполис/Сент-Пол | 116 710 | Delta |
| 4 | Даллас/Форт-Уэрт | 93 730 | American |
| 5 | Финикс Меса-Гейтуэй | 50 860 | Allegiant |
| 6 | Атланта (Хартсфилд-Джексон) | 46 150 | Delta |
| 7 | Лас-Вегас | 25 130 | Allegiant |
| 8 | Финикс (Скай-Харбор) | 23 890 | American |
| 9 | Нэшвилл | 15 340 | Allegiant |
| 10 | Орландо Санфорд | 14 280 | Allegiant |
| № | Авиакомпания | Пассажиры | Доля рынка |
|---|---|---|---|
| 1 | SkyWest Airlines | 315 000 | 22,44 % |
| 2 | Allegiant Air | 283 000 | 20,13 % |
| 3 | United Airlines | 184 000 | 13,11 % |
| 4 | Delta Air Lines | 163 000 | 11,57 % |
| 5 | American Airlines | 151 000 | 10,73 % |
| Прочие | 310 000 | 22,02 % |
Инциденты и происшествия
- 8 марта 1972 года — Cessna, прибывший из Фэйрмонта (Миннесота), задел линии электропередачи при заходе на посадку. Погибли два человека.
- 16 июня 1981 года — одномоторный самолёт Cessna потерпел аварию при взлёте из-за отказа двигателя, погиб один человек, трое ранены.
- 30 ноября 1982 года — Cessna P210 разбился в тумане при ночном заходе на посадку, погибли два человека.
- 24 сентября 1983 года — модифицированный сверхлёгкий самолёт разбился во время авиашоу, погиб пилот.
- 6 ноября 1983 года — Convair 580 авиакомпании Republic Airways столкнулся с птицей при посадке, птица пробила лобовое стекло и ранила командира экипажа, посадку завершил второй пилот.[3]
- 20 декабря 1983 года — Ozark Air Lines Flight 650 при посадке столкнулся со снегоуборочной машиной, погиб водитель машины.
- 9 декабря 2011 года — Cessna 421-C разбился вскоре после взлёта, погибли все 4 человека на борту.
- 8 апреля 2018 года — Allegiant Air McDonnell Douglas MD-83 при посадке соскользнул с ВПП из-за снега и льда, пострадавших не было.[4]
- 25 декабря 2018 года — Beechcraft Baron (N6745V) потерпел крушение при заходе на посадку, погибли пилот и пассажир.[5]



