Терминалия катаппа
Терминалия катаппа[2][3], Индийский миндаль (лат. Terminalia catappa) — растение семейства Комбретовые, вид рода Терминалия, широко культивируемое в тропических странах ради ядер косточек, напоминающих Миндаль.
Что важно знать
| Терминалия катаппа | |
|---|---|
| Научная классификация | |
|
Домен: Царство: Подцарство: Клада: Клада: Клада: Отдел: Класс: Порядок: Семейство: Род: Вид: Терминалия катаппа |
|
| Международное научное название | |
| Terminalia catappa L., 1767 | |
| Охранный статус | |
Распространение и экология
Ареал вида включает в себя Индию, Юго-Восточную Азию, Новую Гвинею, Северную Австралию и Микронезию. Растение также интродуцировано в тропические районы Африки и Америки.
Биологическое описание
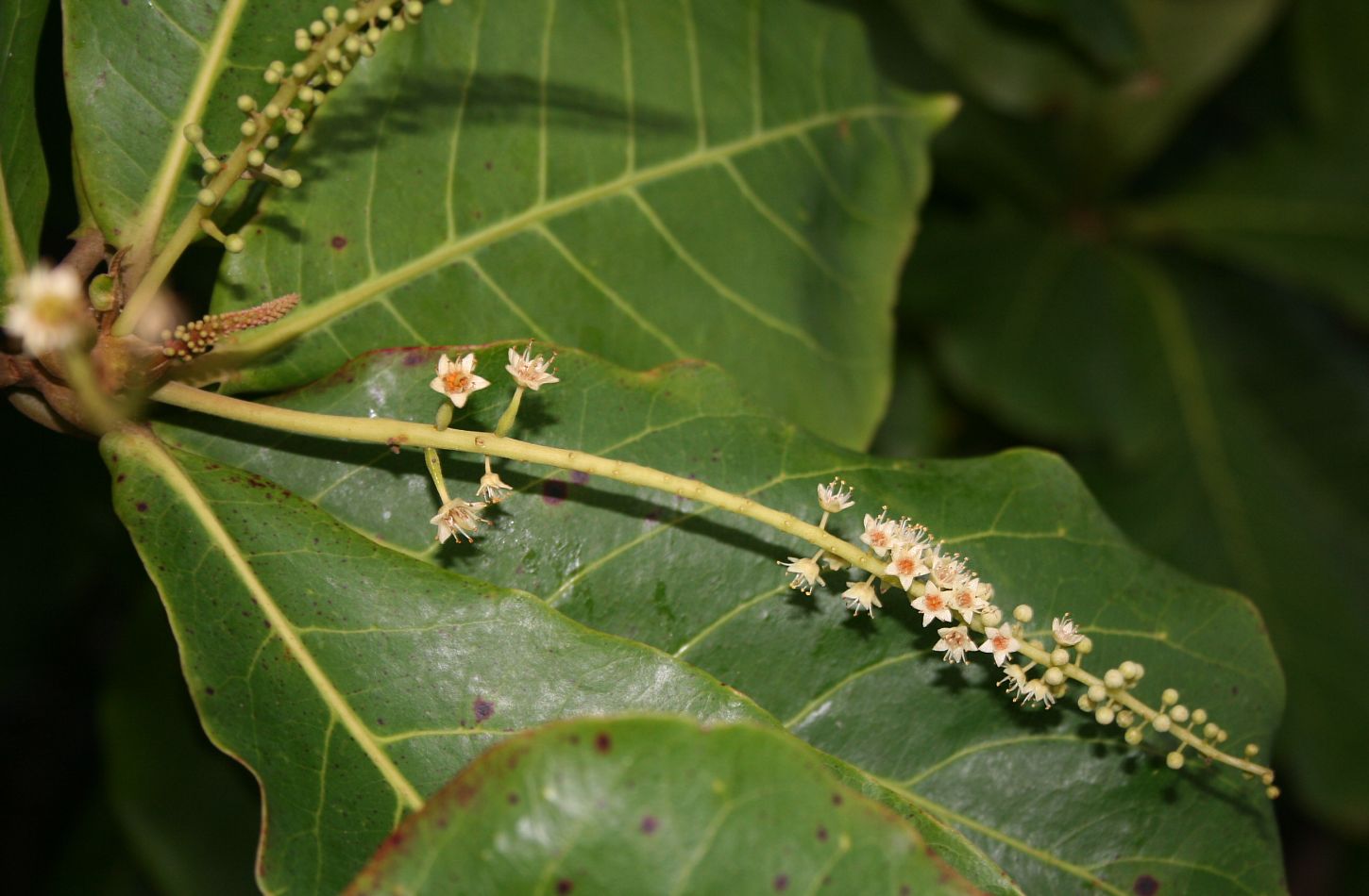
Листопадное в сухой сезон двудомное дерево высотой до 35 м со светлой корой. Листья крупные, обратнояйцевидные, 15—25 см длиной и 10—14 см шириной, с черешками длиной 5—15 мм. Листовые пластинки блестящие, тёмно-зелёные, снизу иногда покрыты волосками. Листья опадают в сухой сезон. Перед опадением они становятся бледно-розово-красноватыми или жёлто-коричневыми, благодаря содержащимся в них пигментам.
Цветки маленькие однополые бело-зелёные, без лепестков, собраны в кисти в пазухах листьев. Плод — сплющенная овальная или яйцевидная костянка 5—7 см длиной и 3—5,5 см шириной, сначала зелёного цвета, затем при созревании приобретает жёлтый, красный или розовый цвет. Околоплодник волокнисто-мясистый, кисловатый на вкус, косточка твёрдая, с деревянистой скорлупой.
Использование
Ядра из косточек плодов по вкусу близки к миндалю. Их едят сырыми или поджаренными, получают из них пищевое масло. Жмых — корм для свиней. Кора и листья содержат танин. Из них получают также чёрную краску для зубов и чернил. Листья — корм для шелкопряда Antheraea paphia. В Индии и Гвинее кора корней и ствола, а также масло орехов — лекарственные средства. Волокна из листьев идут в Мадрасе (Южная Индия) на изготовление одежд. Листья растения также могут служить обёрточным материалом для продуктов вместо бумаги. Дерево очень декоративно. Оно часто сажается, как аллейное и притеняющее. Древесину применяют для построек и столярных изделий[4].
Индийский миндаль. Слева дерево, в центре соцветие и листья, справа косточка и её ядро.
| ||||||||||
Примечания
Литература
- Морщихина С. С. Семейство комбретовые // Жизнь растений : в 6 т. / гл. ред. А. Л. Тахтаджян. — М. : Просвещение, 1981. — Т. 5. Ч. 2 : Цветковые растения / под ред. А. Л. Тахтаджяна. — С. 222. — 512 с. — 300 000 экз.
- Новак Б., Шульц Б. Тропические плоды. Биология, применение, выращивание и сбор урожая / Пер. с нем. — М.: БММ АО, 2002. — С. 78—79. — 240 с. — ISBN 5-88353-133-4.





