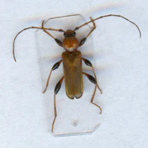
Красногрудый дутый усач
Уса́ч красногру́дый ду́тый[3], или уса́ч пло́ский дубо́вый[4] (лат. Phymatodes testaceus) — вид жуков-усачей из подсемейства настоящих усачей (Cerambycinae). Населяют практически всю территорию Европы: от Скандинавии до Южного Урала, Ближнего Востока и Северной Африки. Кроме того, представители этого вида встречаются в Японии и Северной Америке, что трактуют либо как следы исходного распространения по всему Северному полушарию[5], либо как результат недавней интродукции[6]. Личинки развиваются под корой различных лиственных и хвойных деревьев[7], в течение двух лет в северных районах, в южных — в течение года[4]. Разнообразно окрашенных взрослых жуков можно встретить с мая по август[8]. Наибольшую активность они проявляют в вечерние часы, в остальное время, как правило, находясь на стволах деревьев, пригодных для обитания личинок, реже на цветках[6]. В гемолимфе содержится токсичный кантаридин[9], что характерно не для усачей, а для жуков семейства нарывников.
Что важно знать
| Красногрудый дутый усач | |
|---|---|
| Научная классификация | |
|
Домен: Царство: Подцарство: Без ранга: Без ранга: Без ранга: Без ранга: Тип: Подтип: Надкласс: Класс: Подкласс: Инфракласс: Надотряд: Отряд: Подотряд: Инфраотряд: Надсемейство: Семейство: Подсемейство: Триба: Род: Подрод: Вид: Красногрудый дутый усач |
|
| Международное научное название | |
| Phymatodes testaceus (Linnaeus, 1758) | |
| Синонимы | |
Описание
Взрослый жук от других представителей Phymatodes отличается сильно вздутыми параллельносторонними мелко и негусто пунктированными жёлтыми или металлически-синими надкрыльями, длинным первым члеником задней лапки, который в 1,5 раза длиннее двух последующих члеников вместе взятых, неясными мозолями на неотчётливо и негусто пунктированной переднеспинке[6]. Личинку можно определить по редким толстым щетинковидным волоскам на переднеспинке перед щитком, глянцевитому щиту переднеспинки, который в глубоких продольных штрихах. У куколки 2—4 брюшные тергиты в задней трети по бокам от средней линии несут от 6 до 9 шипиков, которые образуют поперечный, хорошо выраженный или спутанный ряд[5].
Голова между усиками поперечно выпуклая, посередине с продольной бороздкой, между верхними долями глаз поперечно вдавленная. Лоб в неясных точках (пунктировке). Темя в негустой, но достаточно отчётливой пунктировке; временами в передней части темени бывает бороздка[6]. Глаза в резкой фасетке и глубоких выемках. На усиках имеются короткие прилегающие волоски; у самца десятым члеником усики заходят за вершину надкрылий, а у самки усики значительно короче, они не достигают вершины надкрылий[5].
Переднеспинка на боках закруглённая либо немного угловато оттянутая, к вершине менее суженная, к основанию заметно более суженная. Переднеспинка около заднего края, с поперечной узкой бороздкой, на диске выпуклая, в умеренной пунктировке, в коротких тёмно-буроватых или светлых волосках; с тремя гладкими глянцевитыми мозолями, из них две боковые находятся перед серединой и одна медиальная — в задней половине. Щиток плоский, в задней части широко закруглённый; в мелкой пунктировке; в прилегающих светлых волосках. У самца переднегрудь в крупной глубокой пунктировке и у самки в мелкой слабо выраженной пунктировке[5].
Надкрылья значительно вытянутые, параллельно-сторонние, на диске слабо выпуклые, на вершине порознь широко или почти сообща закруглённые. На надкрыльях имеется мелкая неровная, в некоторых случаях сглаженная пунктировка, промежутки между этими точками в тонкой морщинистой скульптуре. На надкрыльях также есть полуприлегающие светлые волоски. Несут характерные черты для этого вида и размеры члеников лапок: у этого вида первый членик задней лапки длиннее двух последующих вместе взятых[5].
Яйцо белого цвета; умеренно вытянутое, к одному полюсу более суженное, на одном полюсе широко закруглённое или заметно притуплённое, на другом узко закруглённое. Хорион яйца гладкий и стекловидный[5].
У личинки голова короткая и сильно втянута в переднегрудь. Эпистома слабо выпуклая, на переднем крае широко выемчатая, с узкой гладкой тёмно-бурой каёмкой, в задней половине эпистома с едва заметным или почти незаметным швом. За каёмкой эпистомы имеются одиночные короткие щетинки, которые образуют поперечный ряд. Передний край эпистомы морщинистый[10]. Эпистома на доках сливается с височно-теменными долями. Швов на лбу нет. Гипостома слабо выпуклая гладкая, на переднем крае есть узкая каёмка буроватого цвета. Внутренние углы склеритов гипостомы острые и оттянутые; склериты на заднем внутреннем крае сильно скошенные. Передний край гуларной пластинки на основании очень расширен; Г. пластинка сужается по направлению вперёд, на переднем крае Г. пластинки нет буроватой каёмки. На переднем крае височно-теменных долей вентральнее и дорсальнее усиков есть широкая рыжевато-бурая каёмка, которая несёт не очень длинные волоски, которые образуют поперечную полоску. За усиками лежит поперечно овально-вытянутый пигментированный глазок. Сами усики тонкие, вершиной выдаются вперёд за передний край головы. Второй и третий членики усиков буроватые, на вершине с белесоватым колечком. Наличник глянцевитый полупрозрачный или белесоватый; к вершине он сужен, на основании сильно расширен, распластан в виде полосок. Полупрозрачная верхняя губа в задней половине расширенная, по направлению вперёд суженная, на вершине закруглённая. На наличнике в передней половине есть короткие редкие щетинки. Подбородок нижней губы поперечный, слабо выпуклый, подбородок едва продолговатый, к вершине слабо суженный, на боках с длинными щетинками. Внутренние лопасти нижней челюсти сравнительно толстые, на вершине закруглённые; на вершине внутренних лопастей имеются редкие короткие щетинки. Щипики нижних челюстей тонкие, на основании есть контрастно-красная каёмка, на наружной стороне у основания — контрастно-красная каёмка. На наружной стороне щупиков у основания посередине есть продольная бороздка[5].
Переднеспинка в морщинках и сильно пунктированная, к голове явственно покатая, в передней трети с желтоватыми или рыжеватыми пятнами, которые составляют поперечную полоску (из них два пятна на диске поперечно и два пятна на боках продольно вытянутые), в передней половине перед щитом и на боках в рыжеватых не очень длинных волосках, не имеющей резкой окантовки на основании[10]. Щит переднеспинки белого цвета, выпуклый, на нём имеется продольная узкая бороздка, на боках щит ограничен короткими продольными складками, на переднем крае имеет две выемки, посередине оттянутый вперёд, в глубоких продольных штрихах; щит на основании серебристо-матовый, здесь в мелкой сетчато-чешуевидной скульптуре. Переднегрудка равномерно выпуклая, в густых рыжих волосах. Переднегрудочка не отграничена бороздкой, сливается с переднегрудкой, на основании голая, глянцевитая, кожистая, лишь на переднем крае посередине с закруглённым волосистым промежутком. Грудные ноги у личинок первых возрастов незаметны, у личинок средних и старших возрастов вполне выраженные[5].
Брюшко довольно толстое, по направлению назад немного сужается, на боках имеются редкие короткие волоски. Дорсальные двигательные мозоли выпуклые, поперечно вытянутые, посередине с едва выраженной продольной общей бороздкой, на боках и на диске без бороздок, лишь иногда с намеченными продольными едва заметными узкими вмятинами или с поперечной чуть выраженной узкой бороздкой (на первом, втором и седьмом тергитах), в мелкой сетчато-чешуевидной скульптуре, которая придаёт им серебристо-матовый оттенок. Вентральные двигательные мозоли выпуклые поперечно вытянутые, занимают большую часть тергитов, в мелкой чешуевидной скульптуре[5].
У куколки голова уже переднегруди; затылок выпуклый и гладкий; темя поперечно-исчерченная, между верхними долями глаз имеет широкое вдавление. Между усиками лоб чуть выпуклый, посередине на лбу есть продольная бороздка, между нижними долями глаз в довольно грубых поперечных морщинках. Усики длинные, тонкие, во второй половине сильно загнутые к вентральной стороне[5].
Переднеспинка поперечная, на боках посередине угловато оттянутая, к основанию и вершине одинаково суженная, на диске слабо выпуклая, в тонкой поперечной штриховке, голая, без щетинок и шипиков, около переднего края посередине с большим бугорком. Среднеспинка гола, в передней половине слабо выпуклая, на заднем крае с угловато оттянутым щитком, посередине чуть поперечно вдавленная. Заднеспинка голая, без щетинок, широкая, посередине с продольной широкой ложбинкой, на диске в поперечной штриховке. в задней части широко закруглённая[5].
Брюшко вытянутое, почти параллельностороннее, к основанию едва, к вершине с шестого сегмента значительно суженное. Тергиты брюшка выпуклые, на боках с продольными вытянутыми наружу морщинками, в задней трети с мелкими шипиками, который образуют на первом тергите поперечный ряд, со второго по шестой тергитах поперечную полоску, которая прерывается посередине (с каждой стороны от средней линии по 6—9 шипиков в полоске). Седьмой тергит к вершине суженный, на заднем крае широко закруглённый, на диске слабо выпуклый, в очень мелких крапинковидных шитриховках, которые образуют около заднего края поперечный ряд, выгнутый в задней части. Генитальные лопасти самки сравнительно крупные полушаровидные, на внутренней стороне к основанию заметно суженные. Задние бёдра полого булавовидные, вершиной едва достигают заднего края четвёртого тергита[5].
Развитие
Самка за жизнь откладывает до 130 яиц, располагая их по одному в щелях коры поваленных или стоящих на корне мёртвых деревьев[4][5]. Яйцо длиной 1 миллиметр, а в поперечнике полмиллиметра. Через две недели, по окончании эмбрионального развития, вылупившиеся личинки проникают в толщу коры или неглубоко под неё, прокладывая извилистые продольные ходы, не отпечатывающиеся на поверхности древесины. Ходы забиты мелкой буровой мукой, которая представляет собой переработанную кору. На своём протяжении личиночный ход обладает неодинаковой шириной: он способен сужаться или расширяться, принимая форму площадок[5].
Личиночное развитие завершается поздней весной первого или второго года жизни, когда личинка последнего возраста строит в толще коры кормового дерева колыбельку — вертикально-ориентированную камеру длиной 14—21 мм и шириной 5—8 мм, в которой происходит окукливание. Личинка четвёртого (последнего возраста), строящая колыбельку в длину достигает 10—18 мм. К поверхности коры от этой камеры личинка также проделывает ход (до 6 мм длиной), через который в будущем взрослый жук покидает колыбельку. У красногрудых дутых усачей между концом этого хода и поверхностью остаётся тонкий слой коры. Сформировавшаяся куколка длиной бывает от 9 до 16 мм; она располагается в колыбельке головой кверху и развивается в имаго через 15—17 дней; появившийся жук в длину может быть 6—16 мм[5].
Экология
Усач красногрудый дутый встречается в лесных насаждениях различного состава (главным образом в дубово-широколиственном лесу)[5], рощах и садах, также встречается на складах лесоматериалов. Личинки заселяют преимущественно дубы (Quercus), но также и каштан (Castanea), бук (Fagus), вяз (Ulmus), ольху (Alnus), иву (Salix), плодовые деревья и другие лиственные деревья, мёртвые неошкуренные стволы, обрубки стволов, пни[6]; кормовыми растениями могут служить и хвойные деревья, например, из родов ель (Picea) и тсуга (Tsuga)[7].
Виды кормовых деревьев личинок: дуб черешчатый[1], дуб пробковый, Quercus mirbecki, один подвид дуба каменного — Quercus ilex subsp. rotundifolia[11], лещина обыкновенная, бук лесной, каштан посевной[1], черешня[7] и слива домашняя[1].
На личинках паразитируют три вида ос-наездников: один из семейства браконид — Helcon tardator, и два из семейства ихневмонид — Xorides praecatorius[1] и Coleocentrus caligatus[12].
Изменчивость
Дутый красногрудый усач не образует географических форм. Многие из ниже перечисленных форм несомненно являются морфами, но выяснение этого вопроса чрезвычайно затруднено наличием многочисленных форм переходного характера[6].
Данный вид чрезвычайно изменчив в окраске; известные формы могут быть разделены на три группы[6]:
- 1) надкрылья одноцветные, светлые, буровато-жёлтые до желтовато-бурых, в светлых волосках (цикл P. t. f. typica).
- к этой группе относятся: P. t. f. typica, P. t. ab. fulvobrunneus, P. t. ab. subpraeustus, P. t. ab. melanocephalus, P. t. ab. plavilstshikovi, P. t. ab. luridus, P. t. ab. nigricollis, P. t. ab. semiflavus, P. t. ab. marginicollis;
- 2) надкрылья двуцветные, частично светлые, частично синие или фиолетовые до чёрных (цикл P. t. var. praeustus).
- к этой группе относятся: P. t. ab. praeustus, P. t. ab. subpraeustus, P. t. ab. combinatus, P. t. ab. subcombinatus, P. t. ab. cameranoi, P. t. ab. kanabei, P. t. ab. fulvolateralis;
- 3) надкрылья одноцветно синие или фиолетовые до почти чёрных, изредка несколько зеленоватых, в светлых или тёмных волосках (цикл P. t. ab. variabilis).
- к этой группе относятся: P. t. ab. variabilis, P. t. ab. trenkai, P. t. ab. sziegharti, P. t. ab. similaris, P. t. ab. lichtneckeri, P. t. ab. fulvipilis, P. t. ab. fennicus, P. t. ab. subtestaceus.
Разнообразие окраски представителей вида
| ||||||||||
Phymatodes testaceus f. typica — типичная форма вида; тело желтовато-бурое до буровато-жёлтого, часто чуть красноватое, заднегрудь обычно чёрная, иногда буровато-жёлтая с чёрными боками и вершиной, эпистерны чёрные, брюшко у самца чёрное, только последних два сегмента светлые, у самок светлое или более или менее светлое, всегда значительно светлее, чем у самца[6].
| Аберрации[1][6] | Автор[6] | Синонимы[1] | Описание[6] |
|---|---|---|---|
| P. t. ab. fulvobrunneus | Kanabé | Желтовато-красный или красновато-жёлтый. Бока среднегруди, эпистерны и вершинные края брюшных стернитов светло желтовато-бурые. | |
| P. t. ab. subpraeustus | Plavilstshikov, 1934 | Phymatodes testaceus var. muelleri Depoli, 1940 | Как типичная форма, но темя чёрное, часто также более или менее зачернён и лоб, реже чёрный только лоб. |
| P. t. ab. melanocephalus | Ponza, 1805 | Верхняя сторона тела светлая, желтовато-бурая или буровато-жёлтая. Темя чёрное. Среднегрудь тёмная или чёрная; заднегрудь чёрная. Брюшко как у типичной формы. Булавы бёдер от бурого до чёрного цвета; вершины голеней затемнены. Усики тёмно-бурые до чёрного; членики со светлыми колечками на основании. Щиток часто зачернён. | |
| P. t. ab. plavilstshikovi | Kanabé | Бо́льшая часть головы, среднегрудь и заднегрудь чёрные. Переднеспинка и переднегрудь красно-жёлтые. Надкрылья красно-жёлтые. Брюшко у самца одноцветное, жёлто-красное. Первый членик усиков светлый, остальные чёрного цвета со светлыми основаниями. Бёдра светлые на основании и вершине слегка затемнены. Голени, особенно на основании, бурые. Щиток бурый. | |
| P. t. ab. luridus | Plavilstshikov | Смоляно-чёрный или чёрный или черновато-бурый. Надкрылья буро-жёлтые. Усики бурые с затемнёнными вершинами члеников. Брюшко обычной окраски. | |
| P. t. var. nigricollis | Mulsant | Смоляно-чёрный или чёрный или черновато-бурый. Надкрылья буро-жёлтые. Усики бурые с затемнёнными вершинами члеников. Брюшко брюшко совсем чёрное. | |
| P. t. ab. semiflavus | Fleisch. | Смоляно-чёрный или чёрный или черновато-бурый. Надкрылья буро-жёлтые. Усики бурые с затемнёнными вершинами члеников. Брюшко брюшко совсем чёрное. Переднеспинка светлая. | |
| P. t. ab. marginicollis | Fleisch. | Смоляно-чёрный или чёрный или черновато-бурый. Надкрылья буро-жёлтые. Усики бурые с затемнёнными вершинами члеников. Брюшко брюшко совсем чёрное. Переднеспинка с красно-жёлтой каёмкой. | |
| P. t. ab. praeustus | (Fabricius, 1781) | Callidium praeustum Fabricius, 1781 | Желтовато-бурый до желтовато-бурого. Заднегрудь чёрная. Брюшко обычной окраски. Усики на вершине иногда затемнены. Надкрылья светлые, на вершине синие или черновато синие. |
| P. t. ab. subpraeustus | Plavilstshikov | Phymatodes variabilis var. dimidiatipennis Chevrolat, 1882 | Желтовато-бурый до желтовато-бурого. Заднегрудь чёрная. Брюшко обычной окраски. Усики на вершине иногда затемнены. Передняя половина надкрылий светлая, вся задняя половина — синяя или фиолетовая. |
| P. t. ab. combinatus | Roubal | Желтовато-бурый до желтовато-бурого. Заднегрудь чёрная. Брюшко обычной окраски. Усики на вершине иногда затемнены. Надкрылья светлые, на вершине синие или черновато синие. Булавы бёдер и голова зачернены. | |
| P. t. ab. subcombinatus | Plavilstshikov | Желтовато-бурый до желтовато-бурого. Заднегрудь чёрная. Брюшко обычной окраски. Голова светлая. Усики одноцветно светлые или тёмные со светлыми основаниями члеников. Надкрылья светлые, на вершине синие или черновато синие. Булавы бёдер. | |
| P. t. ab. cameranoi | Beffa | Голова сильно затемнена. Переднеспинка чёрная или тёмная. Бёдра и лапки буроватые или тёмно-бурые. Нижняя сторона тела более или менее тёмная. Брюшко обычной окраски. Надкрылья светлые. | |
| P. t. ab. kanabei | Depoli, 1940 | Phymatodes testaceus var. depolii Podaný, 1957; Phymatodes testaceus var. fulvotectus Heyrovski, 1946 | Темя чёрное; лоб и рот светлые. Переднеспинка, переднегрудь и среднегрудь красно-жёлтые. Брюшко обычной окраски. Надкрылья светлые на основании сине-чёрные. Членики усиков тёмные или чёрные со светлыми основаниями. Булавы бёдер; голени чёрные. |
| P. t. ab. fulvolateralis | Kanabé | Надкрылья сине-фиолетовые; на шве сзади щитка красно-жёлтое пятно, вытянутое треугольником назад, шов почти до вершины красноватый; Передняя часть головы, усики, переднеспинка голени, лапки и два последних брюшных кольца красно-жёлтые; задняя часть лба, темя, заднегрудь и среднегрудь, первые брюшные кольца и, частично, булавы бёдер чёрные; щиток тёмно-буро-красный. Надкрылья вдоль бокового края усажены жёлтыми волосками. | |
| P. t. ab. trenkai | Kanabé | Голова, усики, переднеспинка, щиток, переднегрудь и среднегрудь и ноги красно-жёлтые; заднегрудь чёрная. Брюшко обычной окраски. Надкрылья в светлых волосках. | |
| P. t. ab. sziegharti | Kanabé | Голова, усики, переднеспинка, щиток, переднегрудь и среднегрудь и ноги красно-жёлтые; заднегрудь светло-смоляно-бурая. Брюшко обычной окраски. Надкрылья в светлых волосках. | |
| P. t. ab. similaris | (Küster, 1844) | Callidium similare Küster, 1844 | Лоб и темя чёрные. Переднеспинка, переднегрудь и ноги светлые. Усики обычно светлые. Среднегрудь обычно, заднегрудь всегда чёрная. Брюшко обычной окраски. Щиток обычно тёмный. Усики обычно светлые. Волоски на теле жука обычно тёмные, но иногда светлые. |
| P. t. ab. lichtneckeri | Kanabé | Лоб и темя чёрные. Усики и ноги светлые. Щиток обычно светлый. Переднеспинка, переднегрудь и ноги светлые. Низ тела одноцветно светлый, только бока среднегруди и эпистерны светло-бурые. Брюшко обычной окраски. Усики обычно светлые. Волоски тёмные, хотя иногда бывают светлые. Волосяной покров светлый. | |
| P. t. ab. fulvipilis | J. Müller | Лоб и темя чёрные. Переднеспинка, переднегрудь и ноги светлые. Усики обычно светлые. Среднегрудь обычно, заднегрудь всегда чёрная. Брюшко обычной окраски. Щиток обычно светлый. Усики обычно светлые. Волоски обычно тёмные, реже светлые. Надкрылья в светлых, более длинных волосках; шов впереди красноватый, нередко красноватый и боковой край в первой трети. | |
| P. t. ab. variabilis | (Linnaeus, 1761) | Callidium carniolicum Gmelin, 1790; Callidium variabile (Linnaeus) Fabricius, 1795; Cerambyx variabilis Linnaeus, 1761; Callidium variabilis (Linnaeus) Auct. (ошибочное написание) | Голова частично зачернена. Переднеспинка красно-жёлтая, одноцветная или с небольшими тёмными пятнами; переднегрудь светлая, среднегрудь и заднегрудь обычно чёрные (иногда светлые). Брюшко обычной окраски. Членики усиков бурые или чёрные со светлыми основаниями. Ноги красно-жёлтые; булавы бёдер затемнены до чёрных. Волоски обычно тёмные, иногда бывают светлые. |
| P. t. ab. fennicus | (Linnaeus, 1758), non Fabricius | Cerambyx fennicus Linnaeus, 1758 | Голова более или менее зачернена. Переднеспинка тёмная, до чёрной, одноцветная или с красными пятнами или с красной каймой; переднегрудь бурая или красно-жёлтая; среднегрудь и заднегрудь чёрная. Брюшко обычной окраски. Ноги светлые; булавы бёдер тёмные со светлым основанием. Волоски на надкрыльях тёмные. |
| P. t. ab. subtestaceus | Plavilstshikov, 1934 | Phymatodes testaceus var. kuesteri Depoli, 1940 | Голова чёрная; ротовые части светлые. Переднеспинка, вся грудь, булавы бёдер чёрные. Усики чёрные; основание первых члеников светлые. Брюшко обычной окраски, покров надкрылий тёмный. |
| P. t. ab. analis | (Redtenbacher, 1849) | Callidium anale Redtenbacher, 1849 | Голова, переднеспинка, переднегрудь и булавы бёдер чёрные. Лапки светлые. Надкрылья красно-бурые с боков и возле переднеспинки, вершина зачернена. |
| P. t. ab. barbarorum | Pic | Голова и переднеспинка тёмно-фиолетовые. Надкрылья сине-зелёные с синей каймой. Ноги и их бёдра буро-жёлтые. Усики бурые. | |
| P. t. ab. heyrovskyi | Depoli, 1940 | Голова чёрная. Переднеспинка желтовато-красная. Надкрылья и ноги бурые; на вершине надкрылий и бёдра ног зачернённые. Усики и ротовые органы тёмно-бурые. | |
| P. t. ab. nigrinus | Mulsant, 1839 | Phymatodes nigrinus Mulsant, 1839; Phymatodes testaceus var. rufipes Costa, 1853, nec Fabricius, 1776; Phymatodes testaceus var. sellae Kraatz, 1868 | Лоб, темя и широкая область переднеспинки чёрные; кайма переднеспинки, ноги и усики смоляно-чёрные; вершины усиков на первых трёх члениках чёрные, лапки и рот буро-жёлтые. Надкрылья зеленовато-смоляно-чёрные. Волоски на теле жука светлые. |
Примечания
Ссылки
- Phymatodes (s.str.) testaceus (L., 1758): изображение из книги «The Longicorn-Beetles of Japan in Color» (сканография Д. Г. Касаткина)





