Мускусный усач
Уса́ч му́скусный[3][4][5] или уса́ч му́скусный обыкновенный[6], или мускусник[7] (лат. Aromia moschata) — транспалеарктический[8] полизональный[9] вид жуков подсемейства настоящих усачей (Cerambycinae) семейства усачей (Cerambycidae). Относительно крупные жуки длиной до 38 мм. Тело металлически блестящее, синего, зелёного или медного цвета, окраска очень изменчива. Опираясь на изменчивость в окрасе и строении, колеоптерологи выделяют 8 подвидов и 20 аберраций[10]. Заднегрудь имеет ароматические поры, при помощи которых жук испускает запах, похожий на запах мускуса[4]. Обитает в областях, где произрастает ива[11], взрослые жуки встречаются с мая по сентябрь. Попадаются на цветах растений, наиболее часто на зонтичных и спирее, а также на вытекающем древесном соке. Личинки развиваются в старых и засыхающих кустарниковых и древесных ивах, реже в тополях и осинах[4][5], сначала под корой, а затем вбуравливаются глубже — во влажную древесину[9][11]. Генерация многолетняя, обычно длится до трёх лет[12]. Вместе с личинками мускусного усача в древесине одного дерева часто развиваются личинки ивового толстяка (Lamia textor) — представителя подсемейства ламиин[10].
Что важно знать
| Мускусный усач | |
|---|---|
| Научная классификация | |
|
Домен: Царство: Подцарство: Без ранга: Без ранга: Без ранга: Без ранга: Тип: Подтип: Надкласс: Класс: Подкласс: Инфракласс: Надотряд: Отряд: Подотряд: Инфраотряд: Надсемейство: Семейство: Подсемейство: Триба: Род: Вид: Мускусный усач |
|
| Международное научное название | |
| Aromia moschata (Linnaeus, 1758) | |
| Синонимы | |
Этимология названия
Название рода «Aroma» свидетельствует о том, что эти жуки обладают запахом, который обусловлен присутствием розеноксида (циклический эфир), который содержится в метастернальной железе, находящейся в брюшке, а её выделительные поры располагаются на заднегруди за тазиками ног[13]. Видовой эпитет «moschata» указывает на то, что данный запах напоминает запах мускуса[4].
Подвид A. m. sumbarensis назван в честь реки Сумбар, в долине которой был найден первый экземпляр жука этого таксона. Подвид A. m. jankovskyi получил своё название в честь энтомолога И. В. Янковского, впервые описавшего этот таксон в 1934 году под названием A. m. amrosiaca[14].
Распространение
Ареал мускусного усача простирается от берегов Атлантического океана до берегов Тихого океана почти до северной зоны тайги. Он включает всю Европу (кроме Крайнего Севера), Кавказ, Закавказье, Северную Африку, север Казахстана, Алтай, Переднюю Азию, Турцию, север Ирана, север Монголии, север Китая, всю Сибирь, остров Сахалин, Японию[5][11].
Подвид A. m. jankovskyi в 2007 году описан из окрестностей Арслан-Боба — западный склон Ферганского хребта (в Киргизии). Прежде данный таксон отмечался как A. m. ambrosiaca из Чаткала и Ферганского хребта. Также в 2007 году был описан ещё один новый подвид A. m. sumbarensis из Копет-Дага (Туркмения). Описание было сделано на основании единственного самца, отличающегося металлическим блеском груди, усиками и ногами, сходными по окраске с таковыми номинативного подвида. Это первые сведения о данном виде на территории Туркмении[14].
Описание
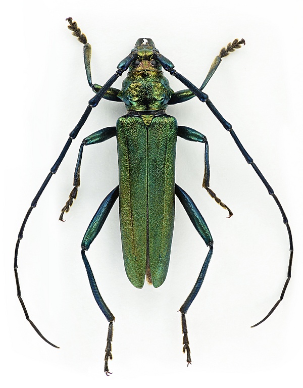
Жуки с длиной тела 13—38 мм[4][5]. Окраска сильно изменчива[4]: может быть бронзовой, зелёной, синей или чёрной, с металлическим отливом[5]. У разных аберраций и подвидов отмечается различный тип окраски: некоторые сплошь одного цвета с оттенком другого цвета или в комбинации с пятном на переднеспинке, либо некоторые части тела, например, переднеспинка или усики, ноги, имеют другой окрас, отличающийся от общей окраски. Например, при типичном случае у номинативного подвида тело жука одноцветное бронзово-зелёное, а усики и ноги иногда имеют другой окрас[11][15][16].
Голова сзади глаз в крупной пунктировке. У самок пунктировка более редкая, чем у самцов, у которых она обычно морщинистая[10]. На лбу имеется продольная бороздка. Сам лоб неровный, в отделённых друг от друга вдавлениях, образующих крупную, но не густую пунктировку. Глаза в мелкой фасетке, имеют широко выемчатую форму. Усики тонкие. По своей длине у самцов они немного заходят за вершину надкрылий, у самки же достигают её, либо являются слегка длиннее. У обоих полов на наружной стороне усиков, начиная с четвёртого членика, имеется продольный желобок. Также у обоих полов первый членик усиков толстый с остро оттянутым наружным дистальным углом и по длине значительно короче третьего[10][11].
Переднеспинка поперечная, в равной степени суженная к основанию и вершине. На диске она выпуклая, неровная, покрыта морщинистой пунктировкой. Переднеспинка голая, лишь по бокам имеются отдельные легко стирающиеся мелкие волоски. На каждом боку переднеспинки находится по одному крупному остро заканчивающемуся шиповидному бугру. Щиток имеет треугольную форму, на вершине остро оттянутый или узкозакруглённый. Пунктировка щитка мелкая, изредка морщинистая[11].
Надкрылья голые, слабо выпуклые, почти плоские, на вершине с узкозакруглённым внутренним и со скошенным наружным углом. Пунктировка надкрылий мелкая и плотно морщинистая. На надкрыльях у некоторых особей имеются чуть заметные продольные рёбрышки, которые могут отсутствовать у других особей[11].
Заднегрудь покрыта редкими глубокими точками и волосками двух цветов — плотно прилегающими частыми светлыми и редкими полуприлегающими буроватыми. Ароматические поры зияющие, эпистерны рядом с ними вдавленные. Ноги тонкие и длинные с явственно искривлёнными задними бёдрами. Задние лапки короче голеней, их первый сегмент в длину не превышает суммарной длины двух последующих, подошву разделяет посередине продольная бороздка. Пятый брюшной стернит у самцов на вершине выемчатый, а у самок узкозакруглённый[11].
Яйцо белого цвета, толстое (длина до 2,8 мм, толщина в поперечнике — 1 мм), на полюсах тупозакруглённое. Хорион покрыт мелкой сетчато-ячеистой скульптурой с плоскими ячейками, разграниченными тонкими линиями[11].
К концу своего развития личинки достигают длины 30—43 мм с шириной головы 3,2 мм. Голова по направлению вперёд несколько сужающаяся. Кайма на переднем крае эпистома широкая, рыжевато-бурого цвета. Гипостом слабовыпуклый. На его переднем крае около внутренних углов имеются острые сильно оттянутые опорные выступы, между которыми находится глубокая выемка, вмещающая шиповидный выступ нижних челюстей. Клипеус белого цвета, небольшой и трапециевидной формы. Верхняя губа выпуклая, на вершине узкозакруглённая и широкозакруглённая. Она белого цвета, по краям покрыта густыми рыжеватыми щетинками. Верхние челюсти массивные. Усики состоят из четырёх сегментов, у основания каждого по одному стекловидному глазку[11].
Переднеспинка сильно покрывает голову, на боках закруглённая, на переднем крае с белой безволосой каёмкой. За каёмкой расположена поперечная жёлтая полоса с двумя глубокими кармановидными белыми выемками спереди по бокам и продольным белым просветом посередине. Переднеспинка на боках и на диске покрыта короткими рыжими волосами, сконцентрированными в двух поперечных областях — перед щитом и на переднем крае жёлтой полосы. Щит переднеспинки белого цвета, выпуклый, кожистый; на переднем крае щита имеются две выемки, на боках — короткая продольная бороздка. Ноги вполне развитые, каждая нога несёт по одному острому коготку[11].
Бока брюшка в коротких рыжих волосках. Дорсальные двигательные мозоли слабовыпуклые кожистые, со слабыми морщинками; разделены двумя поперечными бороздками, из которых передняя обычно прямая, а задняя выгнутая, имеются также продольная бороздка посередине и продольные складки с боков. Вентральные двигательные мозоли по бокам разделены продольными бороздками, которые соединены поперечной бороздкой, выгнутой назад. Девятый тергит брюшка голый. Личинка первого возраста имеет на каждом боку 3—5 сегментов по одному шипику; эти шипики после линьки исчезают[11].
Личинки мускусного усача отличаются от личинок других видов рода Aromia тем, что их переднеспинку покрывают короткие волоски рыжего цвета, а также голым девятым тергитом брюшка и конструкцией дорсальных двигательных мозолей[11].
Тело куколки сравнительно плоское. Голова без волосков, между усиками поперечновыпуклая. На темени находится широкое поперечное вдавление. Затылок широкозакруглённый. Усики прижаты к бокам. У самок на уровне середины задних бёдер, а у самцов позади вершины последних они петлевидно загнуты по направлению вперёд[11].
Переднеспинка слабовыпуклая, неровная. Бугорок или валик на переднем крае отсутствует. На боках имеются крупные конусовидно оттянутые бугры. Ближе к центру основания находится ещё одно бугровидное образование, покрытое шипиками. По направлению внутрь от него также находятся шипики, которые образуют небольшое скопление, иногда рассредоточенное и образующее полоску, соединяющуюся с шипиконосным бугровидным возвышением. Среднеспинка выпуклая, голая, с оттянутым, поперечно-морщинистым щитком в задней части. Заднеспинка широкая, также голая, однако почти плоская[11].
Брюшко слабовыпуклое, более широкое в третьем и четвёртом сегментах и сужающееся к основанию (незначительно) и вершине (более резко). Посередине тергитов брюшка проходит продольная бороздка. В задней части брюшка по бокам от этой бороздки располагаются короткие острые шипики, пригнутые вперёд и внутрь. Седьмой тергит узкозакруглённый на вершине, несёт шипики, обычно формирующие широкое поперечное поле. Вершина брюшка при виде сверху у самки с заметным раздвоением, у самца узкозакруглённая, без раздвоения. У самок генитальные лопасти смежно сидящие, имеют форму полушарий[11].
Подвиды и аберрации
Окраска взрослых жуков очень изменчива (известно 20 аберраций) и несколько изменчива их скульптура (8 подвидов)[2][10][11]. Подвиды друг от друга отличаются не только скульптурой и окраской, но и своим географическим распространением. Аберрации отличаются друг от друга только лишь окраской. Любые формы аберраций одного подвида могут встречаться по всему ареалу отдельно взятого подвида[11].
Примеры вариации внутривидовой окраски мускусного усача
| ||||||||||
Aromia moschata ambrosiaca Steven & Sherman, 1809 — распространён в Португалии, Испании[17], Италии, южной Франции[18], Сицилии, Греции[19], Армении, Алжире, Марокко и Тунисе[2]. Длина тела — 16—38 мм. Переднеспинка хотя бы частично красная; скульптура переднеспинки по большей части образована складочками и морщинками и только частично представлена точками[10].
Синонимы[2]:
- Aromia moschata Steven, 1809
- Aromia rosarum Costa, 1855
- Cerambyx ambrosiacus Germar, 1822
A. m. a. f. typica — типичная форма подвида A. m. ambrosiaca. Тело зелёное, бронзово-зелёное или синее. Усики и ноги почти во всех случаях синие или тёмно-синие. Переднеспинка красного цвета; её передний и задний края и продольная полоса посередине диска синие или зелёные. Переднеспинка густо-морщинистая[10].
| Аберрации[10] | Автор[10] | Описание[10] |
|---|---|---|
| A. m. a. ab. laevithorax | Plavilstshikov | Тело зелёное, бронзово-зелёное или синее. Усики и ноги почти во всех случаях синие или тёмно-синие. Переднеспинка красного цвета; её передний и задний края и продольная полоса посередине диска синие или зелёные. Переднеспинка без морщинок; на ней имеются только отдельные точки. |
| A. m. a. ab. thoracica | Fischer | Тело зелёное, бронзово-зелёное или синее. Усики и ноги почти во всех случаях синие или тёмно-синие. Переднеспинка густо-морщинистая, её окраска целиком красная, продольная зелёная полоска отсутствует. Надкрылья зелёные, редко бывают синие или фиолетовые. |
| A. m. a. ab. melancholica | Reitter | Тело чёрного цвета. Переднеспинка, кроме переднего и заднего края, красная. |
| A. m. a. ab. obscurata | Plavilstshikov | Тело чёрное с блестящим бронзовым оттенком. Переднеспинка красная; её передний и задний края, а также срединное пятно перед основанием синие. |
| A. m. a. ab. notaticollis | Pic | Тело синего цвета. Переднеспинка красная, средняя продольная полоса и бока синего цвета. |
| A. m. a. ab. bineava | Reitter | Окраска тела несколько изменчива и варьирует от зелёного до синего. Бугры переднеспинки красные. |
Aromia moschata cruenta Bogatschev, 1962 — центральноазиатский подвид[2]. Ноги и усики полностью или частично красные, частично красная переднеспинка и часто частично красные голова и вентральная часть тела[20].
Aromia moschata jankovskyi Danilevsky, 2007 — киргизский подвид[14]. Известен только по 3 экземплярам самок, первый из которых был добыт на Чаткальском хребте на берегу реки Аксу ещё в 1904 году энтомологом И. В. Янковским и впоследствии был утерян в 1914 году[14]. Данный экземпляр был описан Янковским под названием Aromia moschata amrosiaca. Второй и третий экземпляры были добыты в Ферганской долине и датируются 1927 и 1937 годами. Жуки длиной 32,5—33,6 мм и шириной 8—8,5 мм. Переднегрудь красная со срединной сине-зелёной линией. Усики и ноги полностью сине-зелёные. Усики голотипа (более мелкого образца) чуть короче надкрылий, усики паратипа (более крупного образца) заходят за вершину надкрылий. Переднеспинка со сравнительно сглаженной скульптурой: поперечная передняя морщинка неотчётливая, но обе пары бугорков переднеспинки хорошо развиты и передняя пара выдаётся сильнее задней. Латеральные брюшные бугорки сравнительно короткие[14].
Aromia moschata moschata (Linnaeus, 1758) — номинативный подвид населяет бо́льшую часть Европы (Британские острова, Германия[19], Польша, Чехия, Австрия, Словакия[21], Украина[22][23][24], Венгрия[25], Молдавия[26], Белоруссия, Россия, Румыния, Болгария, Албания[19], Сербия[27], Мальта[2], Словения, север Италии[28] и север Испании[17])[29], а также Казахстан, Китай и Японию[2]. Длина тела 13—34 мм. Усики самца в среднем в полтора раза длиннее тела (иногда ещё длиннее), обычно достигают основания надкрылий вершиной третьего членика и заходят за их вершину частью восьмого членика; у самки усики слегка короче или слегка длиннее тела, достигают или чуть-чуть не достигают основания надкрылий вершиной третьего членика; 11-й членик усиков у самцов обычно заметно длиннее, у самок гораздо короче четвёртого членика. Переднеспинка в крупной пунктировке, частично морщинистой и распределённой неравномерно, обычно с блестящей срединной полосой. Тело тёмных металлических цветов, переднеспинка зелёная, синяя до почти чёрной, иногда не бывает даже частично красной[10].
- Aromia alata Costa, 1855
- Aromia moschata var. bicolor Podaný, 1968
- Aromia moschata var. eximia Sláma, 1963
- Aromia moschata var. klinzigi Podaný, 1968
- Aromia moschata var. rossica Podaný, 1968
- Aromia thea Reitter, 1894
A. m. a. f. typica — типичная форма номинативного подвида. Тело имеет бронзово-зелёную окраску, одноцветное, хотя усики и ноги иногда бывают синие, или тело более или менее синеватое, или усики и ноги — зелёные. Пунктировка переднеспинки более или менее густая[10].
| Аберрации | Автор | Описание |
|---|---|---|
| A. m. m. ab. auctumnalis | Westwood, 1881 | Тело медно-красное до пурпурно-зелёного. Ноги и усики в окраске меняются от зелёного до чёрно-синего. |
| A. m. m. ab. combinata | Podaný, 1957 | — |
| A. m. m. ab. cupricollis | Pic, 1941 | — |
| A. m. m. ab. laevicollis | Reitter, 1907 | Переднеспинка зеркально блестящая. Переднеспинка на диске почти не имеет пунктировки, лишь в отдельных разнообразных точках. |
| A. m. m. ab. nigra | Schil., 1889 | Тело одноцветное — чёрное или чуть буровато-чёрное, со слабым бронзовым блеском. |
| A. m. m. ab. nigrocyanea | Reitter, 1906 | Тело одноцветное — тёмно-синее, чёрно-фиолетовое или же сине-фиолетовое. |
| A. m. m. ab. nigrolaevigata | Plavilstshikov, 1934 | Тело одноцветное — чёрное. Переднеспинка на диске совсем лишена точек, её дисковые бугры сильно притуплены и сглажены. Переднеспинка со слабым блеском, лишь на боках чуть бронзовая. |
| A. m. m. ab. perroudi | Pic, 1941 | — |
| A. m. m. ab. picipes | Reitter, 1906 | Тело чёрное со слабым бронзовым отливом. Усики чёрно-бурые. Ноги красно-бурые. |
| A. m. m. ab. pulchra | Podaný, 1953 | — |
| A. m. m. ab. rumenica | Podaný, 1953 | — |
| A. m. m. ab. sekerai | Podaný, 1957 | — |
| A. m. m. ab. semitestacea | Heyden, 1941 | — |
| A. m. m. ab. steinmanni | Tippmann, 1956 | — |
| A. m. m. ab. versicolora | Donisthorpe | Голова чёрного цвета с синим или зелёным отливом. Усики фиолетовые с чёрным первым члеником. Переднеспинка пурпурно-медная с зелёно-синими краями. Надкрылья тёмно-пурпуровые, по сторонам и на вершине зеленовато-синие. Ноги синие. Грудь чёрная. |
Aromia moschata orientalis Plavilstshikov, 1932 — восточноазиатский подвид; распространён в Китае, Японии, России, на Корейском полуострове и в Монголии[2]. У жуков переднеспинка красная, на её основании и вершине есть тёмная поперечно-морщинистая каёмка[11][31].
Синонимы[2]:
- Aromia japonica Podaný, 1971
- Aromia orientalis (Plavilstshikov) Podaný, 1971
Aromia moschata sumbarensis Danilevsky, 2007 — туркменский подвид[14]. Длиной 32,1 мм и шириной 7,8 мм. Грудь полностью металлически-зелёная, без красных пятен[14].
Aromia moschata thoracica Fisher, 1824 — ближневосточный подвид, распространённый в Турции, Сирии, Ливане, Палестине, Иордании, Ираке и Иране. Переднеспинка красная. Надкрылья зелёного цвета. Ноги и усики чёрные[2].
Синонимы[2]:
- Aromia moschata ab. thoracica Fisher, 1824
Aromia moschata vetusta Jankovsky, 1934 — казахстанский подвид[2], населяющий низовья Сырдарьи[10]. Жуки преимущественно зелёные с металлическим отблеском; перенеспинка на латеральных частях красная, местами, с зелёными участками; вентральная часть переднегруди, вертлуги и бёдра красноватые; усики синие с металлическим отблеском[20].
Синоним[14]:
- Aromia moschata ambrosiaca var. vetusta Jankowski, 1934
Экология
Обитает в насаждениях (в том числе смешанных), где растёт ива (Salix). Населяет в основном речные долины, первые террасы горных рек, приречные участки гор и т. д. Жуки встречаются с июля по первую половину августа. Пик численности приходится на вторую половину июля[11].
Жуки для дополнительного питания посещают цветки (зонтичных, розоцветных и других). Пополнив запасы питательных веществ, которые необходимы жукам для жизнедеятельности и созревания яиц у самок, они перелетают на кормовые растения для будущих личинок[11][32].
К кормовым растениям личинок в первую очередь относятся кустарниковые и древесные представители рода ив (Salix) — ива козья, ива белая, ива прутовидная, ива ушастая[21]. Однако, помимо ив, кормовыми растениями могут служить и другие виды деревьев: осина, ольха, шелковица белая, тополь, конский каштан[33] и клён белый[34]. Подвид A. m. orientalis в Корее был отмечен на сливе вида Prunus grayana[10]. Жуки также были отмечены как хищники[35], питавшиеся молодыми паучатами[36].
На первой фотографии мускусный усач на мяте душистой; на второй — на растении из семейства зонтичных
| ||||||||||
На мускусном усаче паразитируют некоторые членистоногие. Личинки двух видов перепончатокрылых из семейства ихневмонид (Ischnoceros rusticus и Xorides praecatorius[2]) развиваются внутри личинки усача. Клещ Hericia georgei (Astigmata) — эпокийный комменсал взрослого усача[37]. Энтомопатогенный гриб Beauveria bassiana может поразить имаго жука[38].
Жизненный цикл
Через некоторое время после спаривания самки откладывают яйца в трещины коры в нижней части ствола. Одна самка способна отложить до 25 яиц. Только что отложенное яйцо весит 1,5 мг. Перед кладкой самки выискивают свежесрезанные обрубки ивы, а деревья других видов игнорируют. Личинки мускусного усача заселяют стволы растущих деревьев диаметром до 10 см и более, преимущественно в прикорневой части. На усохших деревьях не поселяются[11]. В дикой природе яйца можно найти с июля до начала октября. При температуре 18,5 °C яйца развиваются за 20—26 дней, а при более высокой температуре длительность развития сокращается до двух недель[11].
Сформировавшиеся в яйце личинки прорывают яичный хорион, выползая на кору кормовых деревьев, и вбуравливаются в неё. Впоследствии они проводят какое-то время под корой. Затем личинки углубляются в древесину, прокладывая снизу вверх продольные, порой извилистые ходы. В той области, где личинка прокладывает ход, на поверхности коры появляются влажные более буроватые пятна, смоченные выступающим древесным соком. Длина хода может достигать 40 см при ширине до . Просторная верхняя часть хода не забивается буровой мукой и остаётся полой[11].
При массовом размножении личинки могут наносить как физиологический, так и технический вред, повреждая живые деревья и прокладывая ходы в древесине[6].
Готовая к окукливанию личинка, достигнув длины 30—45 мм, выгрызает в конце хода колыбельку, которая размещается в древесине продольно стволу и достигает до 50 мм в длину и 10—15 мм в ширину[11]. Личинка отгораживает её от полой части хода пробкой, которая состоит из волокнистой буровой муки. Окукливается личинка только после третьей зимовки. Куколка в колыбельке располагается головой книзу. Сформировавшаяся куколка имеет длину 25—35 мм (при максимальной ширине брюшка 8—10 мм)[11].
Охрана
На Украине и в Латвии и Молдавии мускусный усач занесён в Красную книгу. В Красной книге Украины (2009 год) вид относится к III категории (уязвимый вид)[39]. В Красной книге Латвии (2005 год) он занесён в IV категорию (численность и состояние вызывают тревогу)[40][41]. В Красной книге Молдавии он относится к охранной категории VU, как уязвимый вид[42].
В указанных странах численность вида в целом является незначительной — преимущественно встречаются единичные особи, но локально мускусный усач зарегистрирован как обычный вид. Численность вида в указанных регионах может снижаться вследствие уменьшения насаждений ивы и вырубки старых деревьев[39].
Примечания
Ссылки
- Мускусник // Энциклопедический словарь Брокгауза и Ефрона : в 86 т. (82 т. и 4 доп.). — СПб., 1890—1907.
- Триба Callichromini: Aromia moschata (L., 1758) — фотографии Виталия Гуменюка и Павла Корзуновича
- Касаткин Д. Г. Российская академия наук. Южный Научный Центр. Кавказский Энтомологический Бюллетень. Внутренний мешок эдеагуса жуков-дровосеков (Coleoptera: Cerambycidae): морфология, номенклатура структур, таксономическое значение. — Ростов-на-Дону, 2006. — Т. II, № 1. — С. 104.


