Диапир
Диапир (или гляциодиапир; от греч. diapeiro — протыкаю, пронзаю) — активная соляная тектоника, куполо- или валообразные антиклинальные складки с интенсивно смятым ядром, которое может срезать крылья складки. Диапировые складки и купола обыкновенно возникают за счёт выдавливания из нижних горизонтов высокопластичных пород — солей, глин. При неравномерном распределении давления пластический материал нагнетается из одних участков в другие, образуя характерные «раздувы» — ядра нагнетания. В других случаях этот материал полностью прорывает толщу вышележащих пород и формирует ядра протыкания, которые, вместе со вмещающими их и созданными ими антиклиналями создают обширное семейство разнообразных диапировых складок[1].
Проявление диапиризма хорошо изучено в областях развития залежей соли и соленосных пород в связи с так называемой «соляной тектоникой», с которой в ряде районов связывают месторождения нефти и газа.
Что важно знать
| Диапир |
|---|
Соляная тектоника
Распространённая специфическая форма проявления складчатых дислокаций осадочного слоя земной коры. Она обусловлена особыми реологическими свойствами соляных толщ (их относительно низкой плотностью, но высокой, особенно в условиях больших давлений, пластичностью).
Соляная тектоника проявляется в форме небольших вздутий (так называемых «соляных подушек» — «соляные купола») через соляные диапироиды (куполовидные поднятия с увеличенными в мощности соляными ядрами, но без протыкания надсолевых слоёв) до соляных диапиров (куполов с соляными ядрами, протыкающими надсолевые слои, и часто выходящими на дневную поверхность). Кроме этого, при дальнейшем развитии солевой тектоники могут появляться соляные валы и антиклинали, увенчанные соляными куполами. Эти положительные складки могут простираться на десятки и даже сотни километров. Своды соляных куполов часто разбиты сбросами растяжения и поэтому осложнены грабенами[2].
Основные области соляной тектоники — это континентальные, межконтинентальные и периконтинентальные рифты (авлакогены) и надрифтовые глубокие синеклизы, а также передовые и межгорные прогибы и внешние зоны складчатых сооружений. В частности, в Евразии соляная тектоника континентальных рифтов и палеорифтов известна в пределах Днепровско-Донецкого, Енисей-Хатангского и Вилюйского авлакогенов, а в других местах — в авлакогенах древних горных сооружений США, Канады, Австралии и др. К областям глубоких межконтинентальных рифтов относится рифт Красного моря, а к областям глубоких надрифтовых синеклиз — Прикаспийская низменность, Среднеевропейская низменность и синеклиза Мексиканского залива. Это — наиболее крупные области галокинеза в мире, имеющие сотни соляных куполов и валов.
К областям передовых прогибов относятся Предбайкальский, Предуральский, Предкарпатский прогибы, а также Предпиренейский в Испании, Месопотамский (Персидского залива, который охватывает также и внешнюю зону Загросса в Иране), внешние зоны Восточной Кордильеры в Колумбии и т. д.
Основные соленосные толщи мира имеют раннепалеозойский возраст. Почти все области соляной тектоники являются крупнейшими нефтегазоносными бассейнами.
Соляные купола состоят в основном из трёх элементов:
- соляного массива (или штока), который слагает центральную часть (ядро) структуры;
- толщи вмещающих соляной массив более молодых осадочных горных пород;
- подсолевые горные породы, более древние, чем солевой шток.
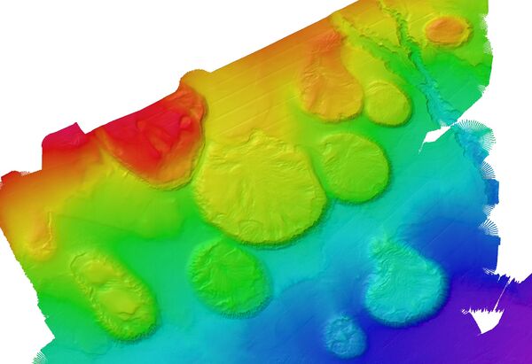
Размеры и формы соляных диапиров, как сказано, разнообразны, от начальных вздутий до огромных «колонн», «пней», конусов, «грибов» и различных гребней, которые, по геофизическим данным, могут распространяться до глубины 10 км. На таких массивах соль обычно образует утолщения и пережимы, нависающие карнизы и апофизы, которые внедряются во вмещающие породы[3]. Их размеры колеблются от долей квадратных километров до 50—60 км². Соляные штоки залегают на разных глубинах, однако имеются и открытые купола, в которых соляной массив срезан эрозией (см. рис.).
На поверхности соляных куполов нередко образуется так называемая каменная шляпа, или «кепрок» (от англ. cap — шапка, rock — камень, порода), сложенная гипсом и брекчией из обломков плохорастворимых пород.
Диапир магматический
Магматические диапиры, располагающиеся неглубоко от земной поверхности, имеют форму перевёрнутой капли с кровлей куполовидной формы. Они очень похожи на соляные диапиры. Магматические диапиры дают крупные пластовые апофизы, а при выходе на земную поверхность переходят в бисмалиты. Магматические диапиры образуются путём механического раздвигания вмещающих горных пород магмой. Магматические диапиры изучены на Северном Кавказе и в Крыму.
Гляциодиапир
Механизм образования гляциодипиров связывается с давлением движущегося ледника по талому или водонасыщенному субстрату, морене, водноледниковым отложениям или отложениям приледниковых озёр. В результате давления льда на ложе происходит выдавливание субстрата в трещины в ослабленные участки нижних слоёв льда. Такие инъекции образуют также и так называемые гляциодайки[4]. Гляциодиапиры и дайки относятся к гляциодислокациям.
Примечания
Литература
- В. И. Серпухов и др. Курс общей геологии. — М.:Недра, 1976. — 535 c.
- Горная энциклопедия. В пяти томах. — М.:Советская энциклопедия, 1984—1991.
- Геологический словарь. В двух томах. — М.:Недра, 1978.


