Гуаса
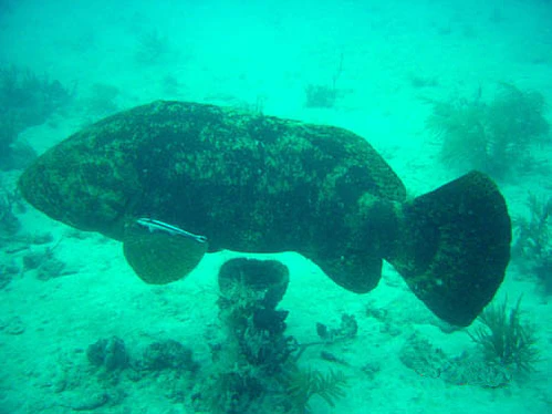
Гуа́са, или тигровый малоглазый групер[1] (лат. Epinephelus itajara) — крупная морская рыба из семейства каменных окуней (Serranidae). К роду Epinephelus также относится тихоокеанский гигантский групер.
Тигровый малоглазый групер живёт в основном на тропических мелководьях, среди коралловых и иных рифов, на глубинах от 5 до 50 м. Ареал этого вида охватывает воды у островов Флорида-Кис и Багамских островов, бо́льшую часть Карибского моря и практически всё побережье Бразилии. Иногда заходит на север до штатов Мэн и Массачусетс. В восточной части Атлантического океана встречается от Демократической Республики Конго до Сенегала.
Молодые груперы этого вида могут жить в солоноватой воде — в речных устьях, протоках речной дельты, мангровых болотах. Для большинства других груперов это нехарактерно.
Тигровый малоглазый групер — крупная рыба. В длину он может дорастать до 2,5 м, весить до 455 кг[2]. Обычно же взрослые особи весят около 180 кг. Эти груперы активно вылавливались ради употребления их в пищу. Склонны регулярно возвращаться для икрометания в одни и те же места и собираться там большими группами. Это также делает их лёгкой добычей для рыболовов. В настоящее время вылов этого вида запрещён законодательно, но до принятия указанного запрета его популяция быстро сокращалась. Сейчас вылов гуасы полностью запрещён, а сам этот вид проходит в списках МСОП как находящийся в критическом состоянии[3]. В США меры по охране этого вида начали проводиться с 1990, в странах Карибского бассейна — с 1993. С момента прекращения вылова популяция этого групера уже успела вырасти; однако, при характерном для этого вида медленном размножении, для полного восстановления популяции потребуется ещё много времени.
Тигровый малоглазый групер питается ракообразными, рыбой, осьминогами и молодыми морскими черепахами. Рассматриваемый вид — не высший хищник, у него есть естественные враги среди крупных рыб. Это барракуды, мурены, крупные акулы.
Большинство груперов — гермафродиты, причём женские половые клетки у них созревают раньше мужских. Каждая особь сначала взрослеет в качестве самки, и только некоторые из этих самок вырастают и становятся самцами. Но для гуасы это ещё не доказано[4]. Фактически же обнаружено, что самцы рассматриваемого вида могут быть половозрелыми уже в возрасте 4-6 лет при длине примерно 1150 мм, будучи при этом моложе и мельче половозрелых самок (6-8 лет и примерно 1225 мм соответственно)[5].
Что важно знать
| Гуаса | |
|---|---|
| Научная классификация | |
|
Домен: Царство: Подцарство: Без ранга: Без ранга: Тип: Подтип: Инфратип: Группа: Класс: Подкласс: Инфракласс: Когорта: Надотряд: Серия: Отряд: Подотряд: Надсемейство: Семейство: Подсемейство: Род: Вид: Гуаса |
|
| Международное научное название | |
| Epinephelus itajara (Lichtenstein, 1822) | |
| Охранный статус | |


