Улица Луиджи Лонго

У́лица Луи́джи Ло́нго — улица в районе Сокол Северного административного округа города Москвы.

Общие сведения
Улица Луиджи Лонго
Общая информация
Страна Россия
Город Москва
Округ САО
Район Сокол
Протяжённость 200 м
Прежние названия 1-я Песчаная улица (1948—1981 гг.)
Почтовый индекс 125057
Улица Луиджи Лонго (Москва)
Точка

Положение улицы

Улица расположена между Чапаевским переулком и Новопесчаной улицей. Состоит из двух дорог, разделённых небольшой полосой газона.

История

undefined

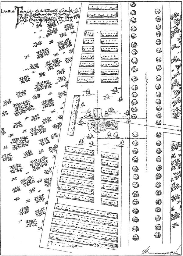
Улица появилась в 1915 году вместе с открытием Московского городского Братского кладбища для жертв Первой мировой войны. Тогда она представляла собой дорогу, соединявшую кладбище с Петроградским шоссе. Дорога включала в себя и современную улицу Острякова. В 1915—1918 годах на дороге по проекту архитектора А. В. Щусева был построен храм Спаса Преображения на Братском кладбище. В 1920-х — 1930-х годах дорога была разделена на две части территорией ПКиО Ленинградского района.

В 1948 году началась массовая застройка района Песчаных улиц. Храм был снесён, а на улице были построены жилые дома. Тогда улица получила название 1-я Песчаная по характеру грунта и по аналогии с другими улицами района (см. Песчаная ул.). 8 января 1981 года переименована в честь Луиджи Лонго (1900—1980) — главы итальянской компартии в 1964—1980 годах[1].