Долье де Кассон, Франсуа
Франсуа Долье де Кассон, фр. François Dollier de Casson (1636 — 27 сентября 1701) — католический миссионер-сульпицианец и городской архитектор, сыгравший видную роль в становлении и развитии Старого Монреаля.
Биография
Родился в состоятельной семье в Прайе под Нантом. Среди его предков были военные и предприниматели. В молодости служил в армии, однако позднее ушёл с военной службы, получил богословское образование и стал священником.
После посвящения в орден сульпицианцев был направлен в Новую Францию. В 1666 г. прибыл в г. Квебек и был немедленно назначен капелланом отряда, воевавшего под командованием Александра Прувиля де Траси против индейцев-мохавков. Вёл активную миссионерскую деятельность, много путешествовал, а в 1671 г. возглавил сульпицианцев в Новой Франции. Занимал должность генерального викария католической епархии Квебека.
14 февраля 1674 года, при попытке перейти замёрзшее озеро, провалился под лёд и получил острую пневмонию, последствия которой долго не отпускали его.
В 1674 г. возвратился во Францию на длительный отдых в более мягком климате, где служил наставником для своих двух племянников. Вернулся в Канаду в 1678 г., где руководил постройкой канала Лашин в 1689 г. и служил в ордене сульпицианцев до самой своей смерти в Монреале 27 сентября 1701. К моменту его смерти этот некогда крошечный форт заметно похорошел и значительно разросся: теперь его население составляло свыше 1 200 душ обоего пола и быстро увеличивалось, чему в немалой степени способствовал Великий монреальский мир, заключённый незадолго до смерти де Кассонa.
Труды
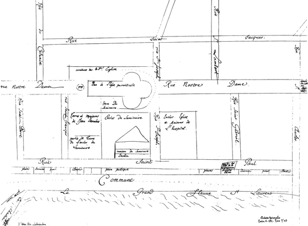
Наибольшим достижением считается написанная им «История Монреаля» (1672—1678). Он также внёс вклад в церковную архитектуру. Под его руководством было проведено первое картографическое исследование Монреаля, создан план улиц квартала, известного ныне как старый Монреаль. [1]
Примечания
Ссылки
- Biography at the Dictionary of Canadian Biography Online Архивная копия от 5 июня 2011 на Wayback Machine
- the Catholic Encyclopedia Архивная копия от 4 ноября 2011 на Wayback Machine


