Therates probsti
Therates probsti (лат.) — вид жуков-скакунов рода Therates из семейства жужелицы (Carabidae).
Что важно знать
| Therates probsti | |
|---|---|
| Научная классификация | |
|
Домен: Царство: Подцарство: Без ранга: Без ранга: Без ранга: Без ранга: Тип: Подтип: Надкласс: Класс: Подкласс: Инфракласс: Надотряд: Отряд: Подотряд: Надсемейство: Семейство: Подсемейство: Триба: Подтриба: Theratina W. Horn, 1893 Род: Вид: Therates probsti |
|
| Международное научное название | |
| Therates probsti Wiesner, 1988 |
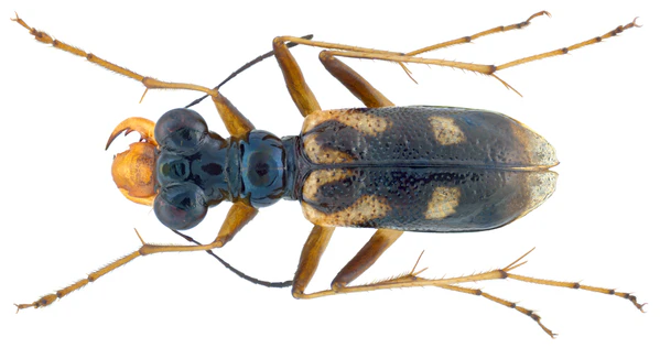
Описание
Длина от 7,3 до 8,8 мм. Тело с металлическим блеском. От близких видов отличается сочетанием узкой плечевой лунки и остроугольной центральной точки. Голова блестящая зеленовато-чёрная. Мандибулы желтоватые, зубцы по краю буроватые. Верхняя губа одинаковой ширины и длины, затемнённая, с шестью вершинными зубцами и одним боковым зубцом. Губные и максиллярные щупики желтоватые. Наличник голый. Лоб гладкий. Переднеспинка блестящая зеленовато-чёрная, длиннее своей ширины, сужена спереди и сзади. Надкрылья блестящие чёрные с коричневато-жёлтыми отметинами. Брюшная сторона чёрная, вентриты буроватые у маргинального шва. Ноги желтоватые, голени и лапки несколько затемнены дистально. Длина эдеагуса 2,3 мм[1][2].
Примечания
Литература
- Wiesner J. Die Gattung Therates Latr. und ihre Arten (нем.) // Mitteilungen der Münchner Entomologischen Gesellschaft. — 1988. — Vol. 78. — P. 5—107. — ISSN 0340-4943.
Ссылки
- Therates Latreille, 1816. Carabidae of the World (2011). Дата обращения: 29 июня 2011. Архивировано из оригинала 26 марта 2016 года.
- Therates (англ.). Biolib. Дата обращения: 24 июля 2021.


