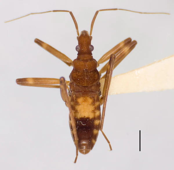
Macroveliidae
Macroveliidae (лат.) — семейство полужесткокрылых из подотряда клопов.
Что важно знать
| Macroveliidae | |
|---|---|
| Научная классификация | |
|
Домен: Царство: Подцарство: Без ранга: Без ранга: Без ранга: Без ранга: Тип: Подтип: Надкласс: Класс: Подкласс: Инфракласс: Клада: Надотряд: Отряд: Подотряд: Инфраотряд: Семейство: Macroveliidae |
|
| Международное научное название | |
| Macroveliidae McKinstry, 1942 | |
| Типовой род | |
|
Macrovelia Uhler, 1872 |
Описание
Экология
Обитают в увлажнённых местообитаниях, встречаются на растениях или реже на поверхности воды. По типу питания являются хищниками или падальщиками. Питаются преимущественно насекомыми. Самки откладывают яйца на мхи и камни[2].
Систематика
В состав семейства входят три современных монотипических рода[5][1]. Род Daniavelia, обнаруженный в глинистых палеогеновых отложениях в Дании, предварительно отнесен к этому семейству[3][6]. Некоторые авторы относят к этому семейству виды Paraphrynoveliidae[4].
- Chepuvelia usingeri China, 1963
- Macrovelia hornii Uhler, 1872
- Oravelia pege Drake & Chapman, 1963
- † Daniavelia morsensis Andersen, 1998
Распространение
Современные представители встречаются только в Западном полушарии[5].
Примечания
Литература
- McKinstry A.P. A new family of Hemiptera-Heteroptera proposed for Macrovelia hornii Uhler (англ.) // Pan-Pacific Entomologist. — 1942. — No. 18. — P. 90–96.


