Harminius
Harminius — род жуков-щелкунов из подсемейства Dendrometrinae.
Общие сведения
Harminius | ||||||||||||||||||||
|---|---|---|---|---|---|---|---|---|---|---|---|---|---|---|---|---|---|---|---|---|
| Научная классификация | ||||||||||||||||||||
|
||||||||||||||||||||
| Латинское название | ||||||||||||||||||||
| Harminius Fairmaire, 1852 | ||||||||||||||||||||
| Виды[1] | ||||||||||||||||||||
См. текст |
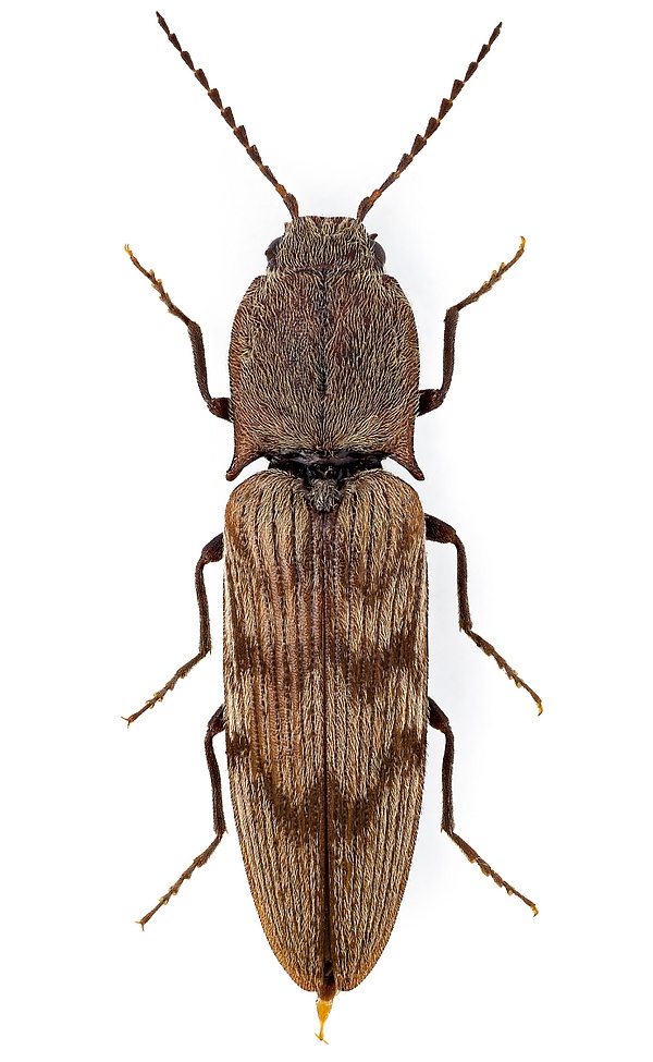
Описание
Сравнительно крупные щелкуны. Килевидная область широкая. Усики у обоих полов слабопиловидные начиная с четвёртого сегмента. Задний край пролевр имеет выемку. Кили на задних углах переднеспинки явственные. Бедренные покрышки задних тазиков по направлению наружу заметно и равномерно сужаются. Второй и третий сегменты лапок имеют большие лопастинки, четвёртый сегмент маленький и имеет зачаток лопастинки.[2]
Список видов
Некоторые виды:
- Harminius carbonarius (Stepanov, 1935)
- Harminius dahuricus (Mannerheim, 1852)
- Harminius flavipennis Cherepanov, 1957
- Harminius florentinus (Desbrochers des Loges, 1870)
- Harminius galloisi (Miwa, 1928)
- Harminius gigas (Reitter, 1890)
- Harminius nihonicus Kishii, 1979
- Harminius nikkoensis (Miwa, 1928)
- Harminius sedakowi (Mannerheim, 1852)
- Harminius singularis (Lewis, 1894)
- Harminius spiniger (Candèze, 1860)
- Harminius triundulatus (Mannerheim, 1853)