Плагиоклазы
Плагиокла́зы (от др.-греч. πλάγιος — косой и κλάσις — ломка, раскалывание) — группа минералов изоморфного ряда альбит — анортит. Имеют породообразующее значение, входят в группу каркасных алюмосиликатов — полевых шпатов. По химическому составу представляют собой непрерывный изоморфный ряд Na-Ca алюмосиликатов — альбита и анортита — с неограниченной смесимостью. В виде примесей иногда содержат изоморфную примесь K (до нескольких процентов, причём количество K обычно обратно коррелирует с содержанием анортитового минала), Ba, Sr, примеси FeO, Fe2O3 и др.
По предложению Е. С. Фёдорова состав плагиоклазов обозначают номерами, которые выражают процентное содержание в плагиоклазе анортитовой компоненты. Например, плагиоклаз № 72 представляет изоморфную смесь, содержащую 72 % анортита и 28 % альбита. В пределах группы выделяют отдельные минеральные виды по содержанию анортитовой компоненты (или по отношению 100*Ca/(Ca+Na) ат.%). C увеличением анортитовой составляющей в плагиоклазах убывает содержание кремнезёма. В связи с этим выделяют кислые (№ 0-30), средние (№ 30-50) и основные (№ 50-100) плагиоклазы.
Что важно знать
Структура и морфология плагиоклазов
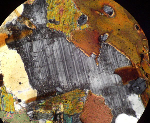
Плагиоклазы имеют триклинную сингонию, часто обнаруживают полисинтетическое двойникование.
Физические свойства
В зависимости от состава и степени упорядоченности Al-Si в структуре свойства плагиоклаза меняются закономерно в широких пределах; от чистого альбита к чистому анортиту возрастают: плотность 2620—2760 кг/м3, твёрдость по минералогической шкале 6-6,5; Температура плавления 1100—1550 °C.
| Название | %An | 2VNg | Np |
|---|---|---|---|
| альбит | 0-10 | 80-85 | 1.527-1.532 |
| олигоклаз | 10-30 | 85-96 | 1.532-1.543 |
| андезин | 30-50 | 96-80 | 1.543-1.553 |
| лабрадор | 50-70 | 80-86 | 1.553-1.564 |
| битовнит | 70-90 | 86-98 | 1.564-1.572 |
| анортит | 90-100 | 98-105 | 1.572-1.577 |
Оптические свойства
Показатели преломления в ряду альбит-анортит меняются от 1,53 до 1,58. Изучая при помощи поляризационного микроскопа с применением столика Фёдорова показатели преломления, угол оптических осей, положение оптической индикатриссы, законы двойникования и др. оптические свойства и пользуясь специальными диаграммами зависимости свойств плагиоклазов от их состава, можно определить номер плагиоклаза, то есть его состав и степень упорядоченности. Для быстрого определения номера плагиоклаза используют метод Мишель-Леви.
Распространение в природе
Главная масса плагиоклазов образуется при кристаллизации магмы; они входят в состав магматических горных пород в качестве важнейших породообразующих минералов. Встречаются они также в контактово-метаморфических образованиях (например, в роговиках и др.), в гидротермальных жилах (альбит), в осадочных породах, куда попадают при выветривании других пород.
Содержание плагиоклаза в образце грунта, доставленного аппаратом Хаябуса с астероида Итокава — 13 %. Он является вторым по содержанию минералом в образце, после оливина (39 %).[1]
Вторичные изменения
При выветривании плагиоклазы легко переходят в гидрослюды, минералы группы эпидота, в глинистые минералы — каолинит, монтмориллонит и др.
Применение
Иризирующие голубоватым, синим и золотистым цветом олигоклазы («лунный камень») и лабрадор, а также плагиоклазы с закономерными вростками мелких чешуек слюды или гематита («солнечный камень») находят применение как поделочные камни. Каолин, образующийся при выветривании плагиоклаза — ценное сырьё для керамической, бумажной и фармакологической промышленности.
Примечания
Литература
- Дир У.-А., Хауи Р.-А., Зусман Дж., Породообразующие минералы, пер. с англ., т. 4, М., 1966
- Марфунин А. С., Полевые шпаты — фазовые взаимоотношения, оптические свойства, геологическое распределение, М., 1962


