Кергеленское плато
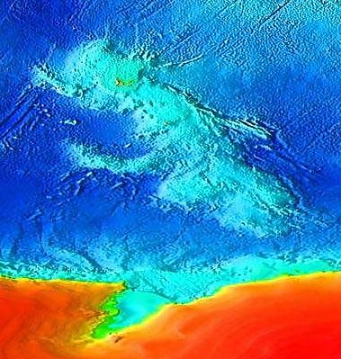
Кергеленское плато — подводное плато вулканического происхождения, расположенное в южной части Индийского океана и частично в Южном океане, одно из крупнейших подводных плато планеты. Находится примерно в 3 тыс. км к юго-западу от Австралии, вытянуто более чем на 2,2 тыс. км с северо-запада на юго-восток. Глубины составляют от 1 до 4 тыс. метров[1].
Плато было образовано горячей точкой после разлома Гондваны около 120 млн лет назад в результате серии мощных магматических извержений, продолжавшихся 25 млн лет[2]. Результаты геологических исследований показали, что в течение периода до 40 млн лет плато находилось на поверхности или на очень небольшой глубине. Фрагменты древесины и угля, найденные в осадках верхнего мела, свидетельствуют о том, что плато могло быть покрыто лесом[1][3]. Осадочные горные породы плато сходны с австралийскими и индийскими образцами, что говорит о том, что они некогда были едины.
Возвышающиеся над поверхностью океана вершины вулканов образуют архипелаг Кергелен, остров Херд и острова Макдоналд. Последние два находятся на хребте Биг-Бен, где вулканическая активность время от времени возобновляется.
Общие сведения
| Кергеленское плато | |
|---|---|
| Расположение | |
| 55°12′ ю. ш. 76°06′ в. д.GЯO | |
| Океан | Индийский океан |
Примечания
Ссылки
- UT Austin scientist plays major role in study of underwater «micro-continent». Архивировано из оригинала 18 сентября 2007 года.
- Leg 183 Summary: Kerguelen Plateau-Broken Ridge—A Large Igneous Province. www-odp.tamu.edu. Дата обращения: 29 января 2020.
- Kerguelen plateau—broken ridge: a major lip related to the Kerguelen plume. www.lpi.usra.edu. Дата обращения: 29 января 2020.
- PAUL J. WALLACE1, FREDERICK A. FREY, DOMINIQUE WEIS, MILLARD F. COFFIN. Origin and Evolution of the Kerguelen Plateau, Broken Ridge and Kerguelen Archipelago: Editorial (англ.) // J. Petrology. — 2002. — Vol. 43 (7). — P. 1105—1108.